Para enviar o evento S-2500 Processo Trabalhista através do app.cucafresca.com.br. realize os procedimentos descritos abaixo:
CONFIGURAÇÃO DO CERTIFICADO:
1. Acesse o aplicativo Cuca Fresca no menu eSocial.
2. Selecione a opção "Certificado Digital".
3. Clique em "Inserir" (+) e vincule o certificado PFX desejado.
S-2500-PROCESSO TRABALHISTA
Etapa 1: Registro do Processo Trabalhista
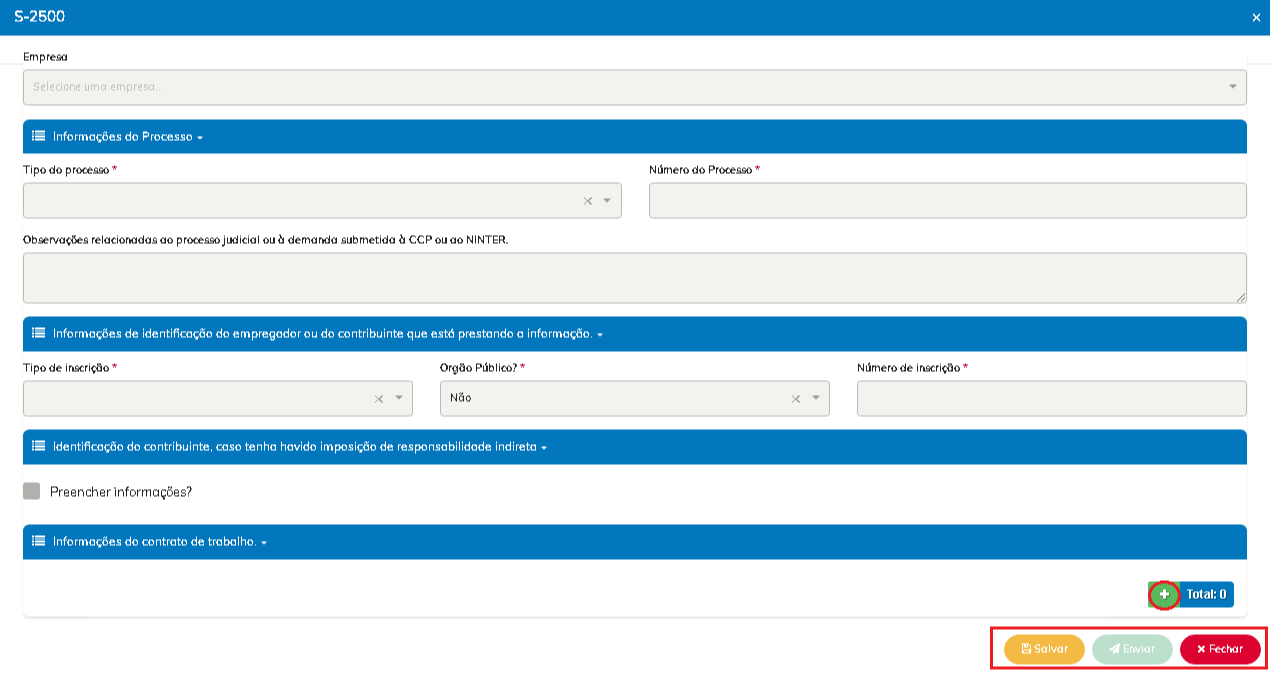
1. Acesse o aplicativo Cuca Fresca no menu eSocial => S-2500.
2. Clique em "Registrar Processo Trabalhista".
3. Selecione a empresa e preencha os demais campos da tela.
- Os campos que possuem * são de preenchimento obrigatório.
4. Preencha o quadro "Informações do Processo".
5. Preencha o quadro "Informações de Identificação do Empregador ou do Contribuinte que está Prestando a Informação".
- O campo "Número de Inscrição" deve ser preenchido apenas com a RAIZ do CNPJ.
6. O quadro "Informações de Identificação do Empregador ou do Contribuinte que está Prestando a Informação" deve ser preenchido somente se houver imposição de responsabilidade indireta.
7. No quadro "Informações do Contrato de Trabalho", clique em "Incluir" (+).
Etapa 2: Informações do Contrato de Trabalho
1. No campo "Tipo de Contrato", selecione a opção correspondente ao tipo de contrato e insira os dados.
2. Informe a mesma matrícula do evento S-2200. Caso não exista, será necessário preencher os campos "Categoria" e "Data de Início do TSVE".
3. Se no campo "Possui informação no evento S-2190, S-2200 ou S-2300 no declarante?" estiver como "Não", o quadro "Informações Complementares do Contrato de Trabalho" será habilitado para preenchimento.
4. Preencha o quadro "Identificação do Estabelecimento" inserindo os dados correspondentes ao estabelecimento responsável pelo pagamento ao trabalhador dos valores informados neste evento.
5. No quadro "Consolidação dos Valores do Contrato", insira as informações dos períodos e valores decorrentes do processo trabalhista.
- No campo "Repercussão do Processo Trabalhista", caso selecione a opção "1 - Decisão com repercussão tributária e/ou FGTS", serão habilitados campos para inserir as bases de cálculo.
6.Após preencher todos os campos necessários, cliquem em "Enviar". O evento S-2500 Processo Trabalhista, será enviado automaticamente ao eSocia
Observação: Será possível salvar o cadastro a cada etapa realizada.
Após incluir os dados e salvar ao lado direito haverá a coluna de "Ações", onde terá as opções de acordo com a situação do registro para "Editar", "Excluir Dados", "Retificar", "Gerar S-3500" (Carga de exclusão), "Download XML" e a opção de "Gerar" a carga para envio. Exemplo:
É importante ressaltar que se possuir dúvidas em quais informações exatamente incluir nestas opções, deverá consultar um orientador jurídico para maiores esclarecimentos.
Para o envio do evento S-2501, siga as orientações do FAQ: Como enviar o evento S-2501- Informações dos Tributos Decorrentes de Processo Trabalhista através do app Cuca Fresca?
Os envios também poderão ser realizados através do Portal do eSocial, conforme orienta o manual disponível no link manual-do-usuario-esocial-web-processo-trabalhista.pdf (www.gov.br)
Para maiores informações, acesse o vídeo disponibilizado pela ENIT-Escola Nacional da Inspeção do Trabalho
youtu.be
Este artigo foi útil?
Que bom!
Obrigado pelo seu feedback
Desculpe! Não conseguimos ajudar você
Obrigado pelo seu feedback
Feedback enviado
Agradecemos seu esforço e tentaremos corrigir o artigo




